Skip to content Skip to main navigation Skip to footer

Пробелы в планах и проектах

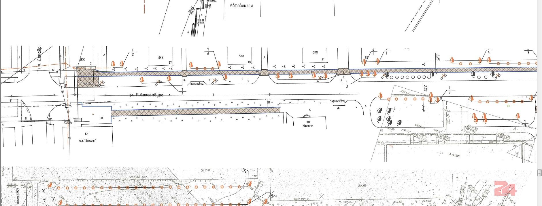
Нашим коллегам удалось пообщаться с Дмитрием Коробейниковым, и на вопрос, заданный читательницей Яной, он подтвердил, что да, проект реконструкции четной стороны Розы Люксембург заканчивается на остановке после «Энергии».

Тротуар от 86 дома до Совхозной в проекте не значится. И на будущий год тоже.

Отчего так — Дмитрий Павлович не прокомментировал. Но, исходя из аналогичной ситуации в районе прокуратуры и заброшенного строительства тюрьмы (Розы Люксембург, 16), дело должно быть в земельных отношениях.

В районе правоохранительного органа земля до поребрика находится в федеральном землеотводе, и муниципалитету туда хода нет. Конец же четной стороны улицы вообще бывшее «совхозное царство», и там в кадастр внесены лишь считанные объекты. Во всяком случае, публичная кадастровая карта не знает домов с 84 по 112 и показывает лишь участок «для жилищного строительства», занятый 100-м домом. Что-то проектировать в таких условиях, понимая, что проект в прямом смысле без основы — безусловно, гиблое дело. И инженеры ПКО СТЗ не стали им заниматься, подготовив замечательный проект там, где строить новые тротуары и прочие элементы благоустройства можно однозначно. А разрешить вопрос  использованием земель — уже дело властей.

 

Если вы нашли ошибку, пожалуйста, выделите фрагмент текста и нажмите Ctrl+Enter.

Поделиться новостью в соцсети
Авторизация
*
*
Войти с помощью: 
Генерация пароля

Спасибо!

Теперь редакторы в курсе.